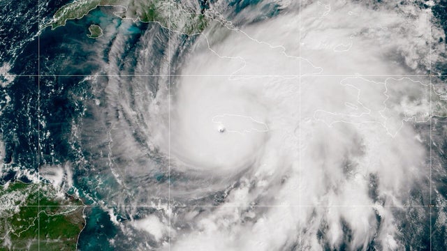
Hurricane Melissa winds hit record-breaking 252 mph, data confirms
Researchers recorded a record-breaking wind gust as Hurricane Melissa lashed the Caribbean in late October.
Watch CBS News
Researchers recorded a record-breaking wind gust as Hurricane Melissa lashed the Caribbean in late October.
Rabbi Yaakov Raskin is still working on recovery efforts in Jamaica where Hurricane Melissa left massive devastation. Raskin joined CBS News with more details on how to help.
Grammy Award-winning artist Shaggy joins "CBS News 24/7" to discuss how he's helping his home country of Jamaica recover in the aftermath of Hurricane Melissa.
Hurricane Melissa was the most powerful hurricane to lash the island since record-keeping began 174 years ago.
Rescuers and aid workers fanned out across Jamaica on Saturday to distribute food and water and reach communities still isolated four days after Hurricane Melissa hit the island.
Hurricane Melissa brought hurricane-force gusts to Bermuda overnight and will weaken as it heads north, the U.S. National Hurricane Center said. Maps show its forecast path.
Jamaica, Haiti and Cuba were assessing the damage and beginning to dig out after they were slammed by Hurricane Melissa, which left dozens dead.
Haitians are still dealing with flooding and destruction after Hurricane Melissa ravaged parts of the Caribbean. Jacqueline Charles, the Miami Herald's Haiti reporter, joins CBS News with more.
At least 45 people died after Hurricane Melissa slammed parts of the Caribbean. CBS News' Jason Allen reports.
Search and rescue efforts stretch into a third day after Hurricane Melissa made landfall in Jamaica as one of the strongest Atlantic storms on record. Nearly a half million people on the island remain without power. CBS News' Jason Allen reports.
People across the northern Caribbean were digging out from the destruction of Hurricane Melissa on Thursday as deaths from the catastrophic storm climbed.
Tens of thousands of Jamaicans were in shelters, and more than two-thirds of the island was still without power, according to officials.
Across the U.S., there are furious efforts to get aid into the Caribbean nation of Jamaica following the trail of destruction and devastation left by Hurricane Melissa. Cristian Benavides reports.
Two days after Hurricane Melissa became one of the strongest Atlantic storms to ever make landfall, thousands in Jamaica remain in temporary shelters and nearly three quarters of the island is still without power. Jason Allen reports.
Flights of aid are being sent from Florida to Jamaica in response to Hurricane Melissa. CBS News correspondent Cristian Benavides reports from Miami.
Most of Jamaica remains in the dark after Hurricane Melissa's wrath swept through the island. CBS News' Jason Allen reports.
Hurricane Melissa devastated multiple countries as it barreled through the Caribbean. The storm is blamed for at least 28 deaths. CBS News' Jason Allen reports on the recovery efforts.
Hurricane Melissa has left dozens dead and widespread destruction across Jamaica, Haiti and Cuba, as it continues to threaten the Bahamas and Bermuda.
Residents and officials in Jamaica are beginning recovery efforts after Hurricane Melissa slammed the country. Jason Allen reports from Santa Cruz and meteorologist Andrew Kozak has a look at where the storm's headed next.
Hurricane Melissa is headed toward the Bahamas after ripping through Jamaica and making landfall in Cuba. CBS News' Jason Allen has the latest from Kingston, while Christopher Boxe, a managing partner for Chilitos Jamexican Restaurant, also joins. Also, CBS News Philadelphia meteorologist Andrew Kozak has the latest forecast.
Hurricane Melissa made landfall Tuesday in Jamaica as a fearsome Category 5 storm. Forecasters said it could be the island's "storm of the century."
Hurricane Melissa is now a Category 4 storm moving northeast over Jamaica. Aretha Taylor, a part-time resident of the island riding out the storm in Ocho Rios, joins "The Takeout" to describe what conditions are like.
Hurricane Melissa is the strongest storm to hit Jamaica in its history. CBS News correspondent Jason Allen reports on the storm from Portmore, Jamaica.
The National Hurricane Center has downgraded Hurricane Melissa to a Category 4 storm after it made landfall in Jamaica on Tuesday afternoon as a Category 5. CBS News meteorologist Zoe Mintz has the latest.
Hurricane Melissa, which struck Jamaica as a Category 5, is among the strongest hurricanes to have formed in the Atlantic since records were kept.
Ukrainian President Volodymyr Zelenskyy lauded "strong security guarantees" from the U.S. after Sunday's meeting with President Trump in Florida.
A powerful winter storm system could become a "bomb cyclone" over the Great Lakes and Northeast regions this week.
Bondi Beach hero Ahmed al Ahmed tells CBS News in an exclusive interview why he sprang into action, risking his own life to save people he'd never met.
Brian Cole told investigators he believed that the 2020 election had been tampered with and he felt "someone needs to speak up," the DOJ alleges in court documents.
China launched live-fire drills around Taiwan on Monday that it said would simulate a blockade of the self-ruled island's key ports, prompting Taipei to condemn Beijing's "military intimidation."
The U.S. announced a $2 billion pledge for U.N. humanitarian aid as the Trump administration continues to slash U.S. foreign assistance and warns United Nations agencies to "adapt, shrink or die" in a time of new financial realities.
Bank of America Chairman and CEO Brian Moynihan stated last week that, as President Trump seeks a new chair of the Federal Reserve, maintaining the banking system's independence is paramount.
French politicians were divided on Monday over how to pay tribute to the late Brigitte Bardot who, despite her screen legend, courted controversy in later life with her far-right views.
Officials said a train accident in southern Mexico killed at least 13 people and injured dozens, halting traffic along a rail line connecting the Pacific Ocean with the Gulf of Mexico.